El huracán ‘Beryl’ tocará tierra dos veces en México este fin de semana; esta es su trayectoria.
El huracán Beryl impactará México dos veces este fin de semana, acercándose a través del Atlántico después de azotar Granada el lunes, informó Alejandra Margarita Méndez Girón, coordinadora general del Servicio Meteorológico Nacional (SMN). Sigue su trayectoria en vivo aquí, hoy 1 de julio de 2024.
Te puede interesar: López Obrador anuncia la inauguración total del Tren Maya en septiembre
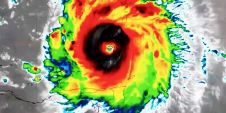
En conferencia de prensa, la coordinadora del SMN indicó que se prevé que el ciclón, que actualmente es categoría 4, se degrade conforme sigue avanzando y antes de tocar tierra en territorio mexicano, en el que provocará lluvias de fuertes a torrenciales en el sureste, oriente y centro del país.
¿Dónde tocará tierra Beryl en México?
El huracán Beryl, considerado un ciclón tropical prematuro para la actual temporada 2024, amenaza con impactar dos veces a México durante este fin de semana con diversas intensidades, así lo señaló la coordinadora del SMN.
De acuerdo con Méndez Girón, el ciclón tropical que se formó en el Atlántico impactará en:
- Costas de Quintana Roo – Huracán categoría 2 o 1
- Límites de Veracruz y Tamaulipas – Huracán categoría 1
La coordinadora del SMN explicó que este martes y miércoles Beryl continuará desplazándose sobre el Mar Caribe donde encontrará viento fuerte y se prevé que pierda intensidad para degradarse en un huracán categoría 2 y para el jueves seguirá aproximándose hacia las costas de Quintana Roo.
Beryl impactará primero en Quintana Roo
El huracán Beryl ingresará a territorio mexicano a través de las costas de Quintana Roo durante la noche del jueves 4 de julio o madrugada del viernes 5 de julio al tocar tierra entre Felipe Carrillo Puerto y Othón P. Blanco, de acuerdo con los primeros pronósticos de su trayectoria, con vientos mayores a los 120 kilómetros por hora.
El SMN prevé que el ciclón tropical incluso pueda tener vientos de 154 a 177 kilómetros por hora, lo que podría llevar a generar daños en techos de casas, caída de árboles, bloqueo de carreteras, desprendimiento de tendidos eléctricos, derribo de espectaculares y marea de tormenta sobre las costas.
Segundo impacto de Beryl en México
Tras haber ingresado a territorio mexicano por las costas de Quintana Roo, el huracán Beryl atravesará la Península de Yucatán para internarse en el Golfo de México durante el sábado y seguir su avance de nuevo hacia costas mexicanas.
En el Golfo de México Beryl perderá fuerza y se degradará a tormenta tropical y seguirá su avance en el mar. Durante la noche del domingo 7 de julio o madrugada del 8 de julio tocará tierra de nuevo en México entre los límites de Veracruz y Tamaulipas como un huracán de categoría 1.







